LLUVIAS PUNTUALES INTENSAS A TORRENCIALES EN VERACRUZ, TABASCO, OAXACA Y CHIAPAS, ADEMÁS DE EVENTO DE “NORTE” MUY FUERTE A INTENSO EN EL LITORAL DEL GOLFO DE MÉXICO, LA PENÍNSULA DE YUCATÁN, ISTMO Y GOLFO DE TEHUANTEPEC

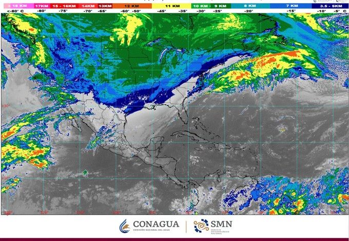
Para hoy, el frente frío núm. 30 se desplazará sobre el sur del golfo de México, sureste del país y la península de Yucatán, propiciará lluvias fuertes a muy fuertes en dichas regiones; pronosticándose lluvias puntuales intensas a torrenciales en Veracruz, Tabasco, Oaxaca y Chiapas. Simultáneamente, la masa de aire ártico asociada al sistema frontal, mantendrá el ambiente frío y bancos de niebla sobre entidades del norte, centro, oriente y sureste del país; así como ambiente muy frío a gélido en zonas serranas de la Mesa del Norte. Además de evento de “Norte” muy fuerte a intenso en el litoral del golfo de México, la península de Yucatán, istmo y golfo de Tehuantepec. A su vez, prevalecerá la probabilidad de caída de nieve o aguanieve en las cimas del Cofre de Perote y Pico de Orizaba.



