Estado del tiempo
TIEMPO ESTABLE Y BAJA PROBABILIDAD DE LLUVIA EN LA MAYOR PARTE DE LA REPÚBLICA MEXICANA

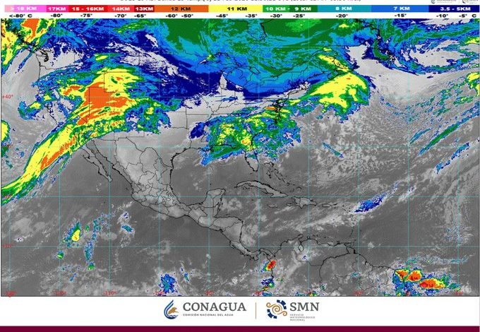
Para hoy, el anticiclón en niveles medios de la atmósfera mantendrá tiempo estable, baja probabilidad de lluvia y ambiente cálido a caluroso sobre la mayor parte del territorio nacional. Un nuevo frente frío (núm. 34) ingresará sobre el noroeste mexicano, e interaccionará con una vaguada en altura y con la corriente en chorro polar originarán vientos fuertes en la citada región, así como descenso de la temperatura y chubascos en Baja California.
El ingreso de humedad del océano Pacífico, golfo de México y Mar Caribe y el aporte de humedad favorecido por la corriente en chorro subtropical, ocasionarán lluvias aisladas en Tamaulipas, Veracruz, Oaxaca, Guerrero, Chiapas y Quintana Roo.



